812 S Nebraska St, Pine Bluff, AR 71601
Nice spacious lot in an excellent Pine Bluff location. Property had a home on it prior and all utilities are…
$3,650
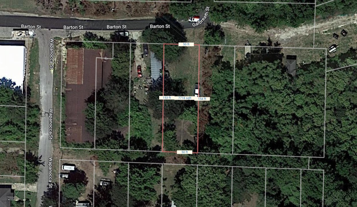
455 Barton St, Turrell, AR 72384, USA
For Sale
$3,950


Nice lot with utilities in a great Turrell location.
This property had a home on it prior and all utilities are available.
Priced way below area comparable sales in the area!
Property Address: 455 Barton Street, Turrell, AR 72384 (Map location is approximate)
County: Crittenden
Assessor Parcel Number: 244631000000
Legal Description: Lot 4, Block 2, Hammonds 1st Addition
Zoning: Residential
Annual Property Taxes: $33.66
Purchase ID : 23006Nice spacious lot in an excellent Pine Bluff location. Property had a home on it prior and all utilities are…
$3,650
Gorgeous lot in an excellent location in Highland! GPS Coordinates are 36.277849666595095, -91.53035868269836. Plenty of privacy on this lot and…
$1,200
Gorgeous large lot a short distance from Lake Mirandy! GPS Coordinates are 36.27210573377681, -91.51745336010936. Plenty of privacy on this lot…
$5,800
Gorgeous lot in an excellent location in Highland! GPS Coordinates are 36.27385452859983, -91.52971473861913. Plenty of privacy on this lot and…
$1,200
0 W Main St, Blytheville, AR 72315
Owning a home is a keystone of wealth… both financial affluence and emotional security.
Suze Orman