Lot 11-13, Winding Avenue, Brinkley, AR 72021
Gorgeous triple lot steps from the boat ramp at Lake Greenlee! GPS Coordinates are 34.878709004408826, -91.17311792161031. Priced way below area…
$4,800
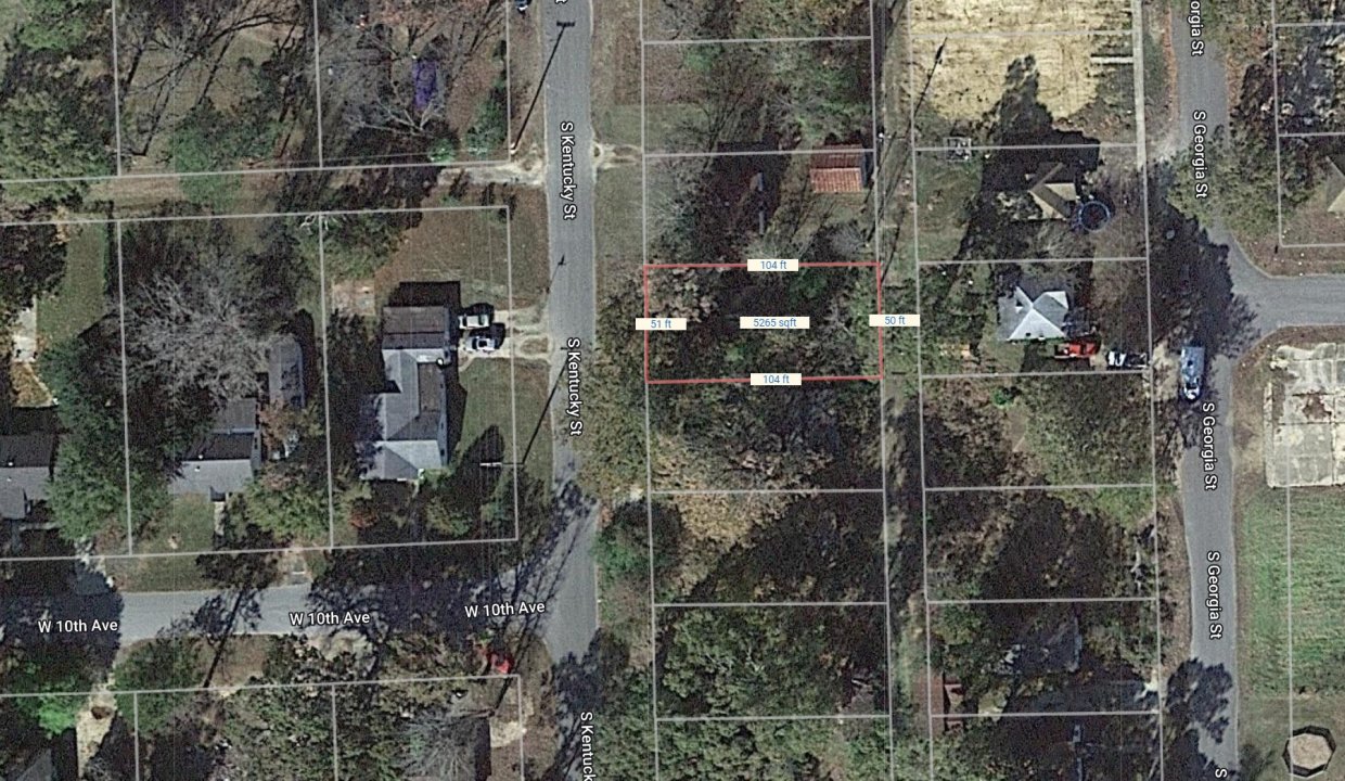
809 S Kentucky St, Crossett, AR 71635, USA
For Sale
$2,950



Nice city lot with utilities in a great Crossett, Arkansas location.
Please Note: Home pictured has been removed from the property.
Property Address: 809 S Kentucky St, Crossett, AR 71635 (Map location is approximate)
County: Ashley
Assessor Parcel Number: 706.00977.000
Legal Description: Block 106, Lot 5, Crossett Original F Subdivision
Section: 19 Township: 18S Range: 8W
Zoning: Residential
Annual Property Taxes: $72.00
Purchase ID : 4847Gorgeous triple lot steps from the boat ramp at Lake Greenlee! GPS Coordinates are 34.878709004408826, -91.17311792161031. Priced way below area…
$4,800
Secluded lot measuring 30×150 in Arkansas City. Priced way below the comparable sales in this area! Debit/Credit Cards Accepted No…
$1,000
Gorgeous lot in Pine Bluff on Carol Street measuring 60×130. This property had a home on it prior and the…
$2,450
.17 acre parcel of land located in Fordyce, Arkansas. Please Note: Per the legal description, property is located within the…
$995
1205 N Walker Street, Hope, AR 71801
Owning a home is a keystone of wealth… both financial affluence and emotional security.
Suze Orman