Lot 3, Ridgecrest Drive, Highland AR 72542
Gorgeous lot in an excellent location in Highland! GPS Coordinates are 36.270241594560666, -91.52996134543982. Plenty of privacy on this lot and…
$3,700
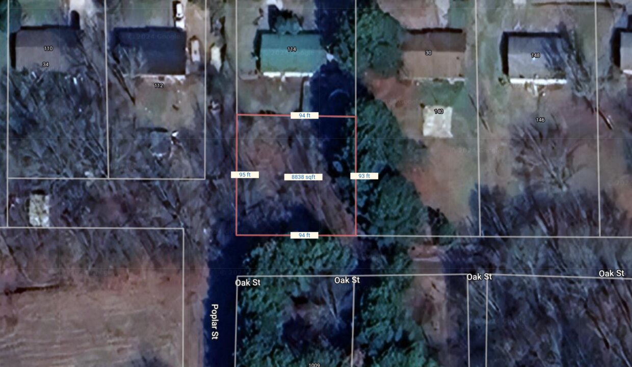
Oak Street, Bald Knob, AR, USA
For Sale
$4,500




Nice spacious lot in a great location in Bald Knob, Arkansas.
Google Maps Link: Click Here
Property Address: Lot 10, Oak Street, Bald Knob, AR 72010
County: White
Assessor Parcel Number: 003-00404-000
Legal Description: Lot 10, Beinert’s Addition, Replat of Blocks 19 Through 22
Zoning: Residential
Annual Property Taxes: $57.46
Purchase ID : 86275Gorgeous lot in an excellent location in Highland! GPS Coordinates are 36.270241594560666, -91.52996134543982. Plenty of privacy on this lot and…
$3,700
Gorgeous lot in an excellent location in Highland! GPS Coordinates are 36.27655364759435, -91.53127635244392. Plenty of privacy on this lot and…
$1,200
Spacious 1/3 acre secluded double lot in Dermott, Arkansas. This property measures 100×136, GPS Coordinates are 33.53680559332947, -91.42570841399912. Priced way…
$1,695
Nice lot on Spring Ave in an excellent Camden location! Enjoy charming small town life in this wonderful town that…
$1,750
418 East Avenue, El Dorado, AR 71730
Owning a home is a keystone of wealth… both financial affluence and emotional security.
Suze Orman