Lot 2W, Block 5, Bluebird Drive, Ozark Acres, AR 72482
This property has been sold. Looks like you missed this one, though we have many other great deals available, don’t…
$3,500
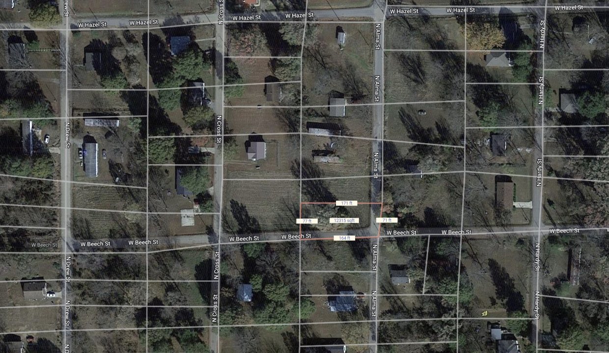
W Beech St, Dermott, AR 71638, USA
Sold
$1,950



This property has been sold.
Looks like you missed this one, though we have many other great deals available, don’t let the next one get away!
Nice Corner Lot on Beech and Alma Street in Dermott.
Ready for your new home or hold as an excellent future investment!
GPS Coordinates are 33.534699932061976, -91.44296356320258.
Priced way below comparable sales in the area!
Property Address: Lot 9, West Beech Street, Dermott, AR 71638 (Map location is approximate)
County: Chicot
Assessor Parcel Number: 050-00887-000
Legal Description: Lots 9, Block 20, Blount and Moss School Addition #2
Zoning: Residential
Annual Property Taxes: $15.79
This property has been sold.This property has been sold. Looks like you missed this one, though we have many other great deals available, don’t…
$3,500
This property has been sold. Looks like you missed this one, though we have many other great deals available, don’t…
$1,175
This property has been sold. Looks like you missed this one, though we have many other great deals available, don’t…
$1,300
This property has been sold. Looks like you missed this one, though we have many other great deals available, don’t…
$1,300
Lots 5-11, Block A, Driftwood Parking Park, Ravenden, AR 72459
Owning a home is a keystone of wealth… both financial affluence and emotional security.
Suze Orman